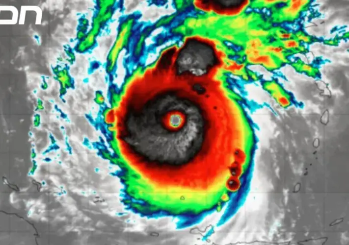
El huracán Beryl se ha fortalecido a un ciclón de categoría 5 a su paso por el sureste del Caribe.
Contra los pronósticos de las autoridades meteorológicas, el huracán Beryl se intensificó a categoría 5 la tarde de este lunes 1 de julio mientras transcurre por el Caribe oriental, y con ello se espera que sus efectos sean mayores a los previstos, según dijo el Centro Nacional de Huracanes de Estados Unidos.
Beryl destrozó puertas, ventanas y tejados el lunes en diversas partes del sureste del Caribe tras tocar tierra en la isla de Carriacou, en Granada, como tormenta de categoría 4.
Cambien puedes leer: El ministro de la Presidencia Joel Santos niega suspensión laboral por huracán Beryl
El primer ministro de Granada, Dickon Mitchell, dijo el lunes por la noche que una persona había muerto y que las autoridades no habían podido evaluar la situación en las islas de Carriacou y Petite Martinique.
A última hora del lunes, los vientos de Beryl aumentaron a 260 km/h (160 mph). Es probable que en los próximos días se produzcan fluctuaciones en su fuerza.
Beryl se encontraba a unos 825 kilómetros (510 millas) al este-sureste de Isla Beata, en la República Dominicana, y se movía con dirección oeste-noroeste a 33 km/h mph (22 mph). Se pronostica que pasará cerca de Jamaica el miércoles.







