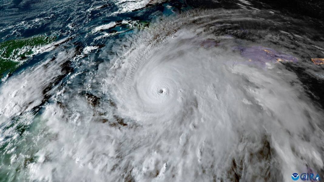
Redacción.- La temporada ciclónica del Atlántico y el Golfo de México de 2026 podría registrar una actividad inferior a lo habitual, marcada por la probable formación del fenómeno El Niño, según los más recientes análisis de la NOAA y el International Research Institute for Climate and Society.
De acuerdo con el informe publicado en marzo por la NOAA, existe un 62% de probabilidad de que El Niño se desarrolle entre junio y agosto, coincidiendo con el inicio oficial de la temporada de huracanes, que se extiende del 1 de junio al 30 de noviembre. Algunos modelos internacionales incluso elevan esa posibilidad hasta un 80% o 90%, sugiriendo la posible formación de un evento fuerte o “súper El Niño”.
Te puede interesar: Vaguada provocará aguaceros y mantiene seis provincias en alerta meteorológica
Este fenómeno, caracterizado por el calentamiento anómalo de las aguas del Pacífico ecuatorial, tiende a incrementar la cizalladura vertical del viento en el Atlántico, un factor que dificulta la organización e intensificación de los ciclones tropicales. Históricamente, los años dominados por El Niño suelen presentar una menor actividad ciclónica, aunque los expertos advierten que esto no elimina el riesgo de impactos significativos.
El primer pronóstico preliminar del grupo Tropical Storm Risk (TSR), actualizado con datos recientes, proyecta una temporada cercana al promedio o ligeramente por debajo. Se estiman:
- 14 tormentas con nombre
- 7 huracanes
- 3 huracanes mayores (categoría 3 o superior)
El índice de Energía Ciclónica Acumulada (ACE) se situaría en torno a 125 unidades, en línea con los valores históricos. Sin embargo, los especialistas subrayan que la intensidad final de El Niño aún es incierta y podría verse parcialmente compensada por las temperaturas cálidas persistentes en el Atlántico, que favorecen el desarrollo ciclónico.
En cuanto a la nomenclatura, la lista oficial de nombres aprobada por la Organización Meteorológica Mundial y el Centro Nacional de Huracanes iniciará con Arthur, seguida por Bertha, Cristóbal, Dolly, Edouard y Fay, entre otros hasta completar 21 denominaciones.
Pese a un panorama que sugiere menor actividad, los meteorólogos insisten en no bajar la guardia. “Un solo huracán puede ser suficiente para causar daños severos”, advierten, recordando que incluso en años influenciados por El Niño se han registrado eventos devastadores.
Las autoridades recomiendan a las poblaciones del Caribe, el Golfo de México y la costa atlántica mantener sus planes de preparación y seguir de cerca los boletines oficiales. La NOAA prevé emitir su pronóstico estacional definitivo en mayo de 2026, cuando se tenga mayor claridad sobre la evolución del sistema ENSO.
Mientras tanto, la vigilancia meteorológica continúa siendo clave en una región donde la temporada ciclónica, activa o no, siempre representa un riesgo latente.






